Downtown Protected Bike Lane Opens May 30

5/23/2024

​​

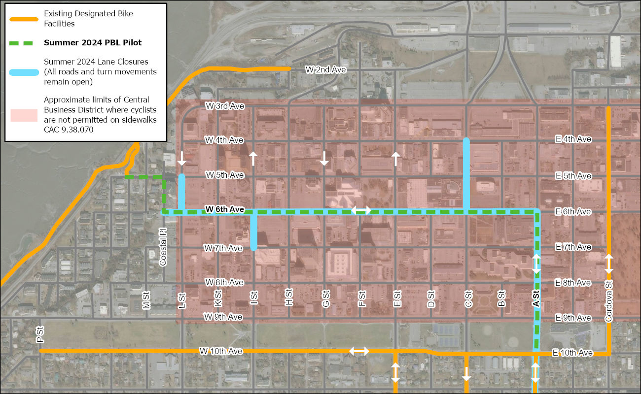
The temporary installation of the downtown Anchorage Protected Bike Lane Pilot Project is in progress. Please slow down, be advised of lane closures, and look both ways for two-way bike traffic. The left vehicle lane on portions of 6th Avenue and A Street are being converted to a two-way bike lane separating the bike traffic from the remaining two vehicle lanes by plastic flex-posts or curbs.

All cyclists are encouraged to try it out and tell us what you think! When riding in the protected bike lane, please obey all signs and bike signals. Ride on the right side, and yield to vehicles and other cyclists when exiting the bike lane. Use the bike boxes and yield to vehicles when making two-stage turns at the corner of 6th Avenue and A Street. Green stripes on the roadway will indicate vehicle crossing locations at side streets and driveways. Drivers, please yield and look both ways for cyclists when crossing the two-way protected bike lane.

Summer_2024_Lane_Closures.jpg

Downtown roadways will be temporarily affected through the end of September:

  • The left vehicle lanes on 6th Avenue, from Coastal Place to A Street, and A Street, from 6th Avenue to 10th Avenue, are being converted to a temporary protected two-way bike lane.
  • The left turn lane on L Street at 6th Avenue will be closed with left and through movements from the existing left through lane.
  • The right turn lane on I Street at 6th Avenue will be closed with right and through movements from the center lane.
  • The left turn lane on C Street at 6th Avenue will be closed with left and through movements from the existing left through lane.
  • On-street parking spaces on the north side of 6th Avenue from Coastal Place to I Street will be removed for the duration of the project.
  • On-street parking spaces on the north side of 6th Avenue from Coastal Place to I Street will be shifted to the existing left through lane for the duration of the project.
PBL_Announce_Social Media Post_4.jpg

Ribbon Cutting Ceremony

Come celebrate Anchorage's first downtown Protected Bike Lane at the ribbon cutting ceremony taking place Thursday May 30th from 5:00pm to 5:30pm on 6th Avenue at Town Square Park prior to the season's first Live After Five concert! Come for the ribbon cutting and stay for the concert! This free outdoor concert is hosted by the Anchorage Downtown Partnership with local food, beverage vendors, and bike parking provided by Bike Anchorage. Down the street, join fellow transportation nerds at City Nerd Nite: Transportation Talks, hosted by the Anchorage Assembly. Six Anchorage locals will give 7-minute presentations on how we walk, ride, drive and roll across the Municipality. City Nerd Nite will be held at Akela Space, a venue on the new bike lane route, from 6:00p.m. to 8:00p.m. with complimentary taco bar and mocktails from Cafecito Bonito.

Interested in being the first to ride the Protected Bike Lane along the Downtown Corridor on 6th Avenue and A Street? Join one of the group rides to the ribbon cutting celebration on Thursday, May 30th! Cyclists meet at 4:15pm at the Anchorage Museum (hosted by the Anchorage Museum & Bike Anchorage) or Elderberry Park (hosted by the Anchorage Park Foundation).

The PBL team will be available to answer questions and will be collecting survey data throughout the project duration, your feedback will guide future bicycle facility improvements in Anchorage.

This PBL Pilot Study aims to learn how protected bike lanes may be implemented to improve safe, reliable, and equitable access for all transportation users. PBLs are designed with the safety and comfort of cyclists of all ages and abilities in mind. In addition, PBLs have the added benefit of calming traffic and providing an additional buffer for a more comfortable pedestrian experience.
In cooperation with the Municipality of Anchorage (MOA), the Alaska Department of Transportation & Public Facilities (DOT&PF) is testing a variety of protected bike lane treatments that have proven successful around the country as a first step to evaluate their feasibility in Alaska. Should this summer pilot prove successful, additional funding could be pursued to explore winter design and maintenance needs before permanent year-round facilities are considered. This current project is funded entirely through the Bipartisan Infrastructure Law in partnership with the Federal Highway Administration to inform Complete Streets policy development. “This pilot project is an exciting opportunity to explore diverse infrastructure opportunities to create safer active transportation networks for non-motorists in Anchorage," said Anchorage Assembly Member Daniel Volland.

“This protected bike lane installation is a great opportunity for Downtown Anchorage. Providing safe passage for cyclists can contribute to activating the community and commerce of Downtown," said Anchorage Mayor Dave Bronson.

DOT&PF Central Region Director Sean Holland said, “I look forward to the results of this pilot study and continued collaboration with the MOA. The installation of this protected bike lane will help to guide future opportunities to provide safer streets and effective travel for all Alaskans."

Bike Anchorage Director Alexa Dobson says, “We are excited for new bike infrastructure being tested in downtown Anchorage. The PBL will provide greater ease for commuting and connect Chester Creek to the Coastal Trail through downtown. We look forward to collaborating with other organizations to provide events and groups rides throughout the summer! Look out for future rides hosted in partnership with the Anchorage Museum."


###

CONTACT

Brad Coy, P.E., PTOE
Traffic Engineering Director/Municipal Traffic Engineer
Municipality of Anchorage
907-343-8070